
Ostrowska Giełda Nieruchomości
63-400 Ostrów Wielkopolski, ul. Wrocławska 12
62 592 18 13, 601 700 413
ogn.ostrow@wp.pl
SPRZEDAŻ • DZIAŁKI • RYNEK WTÓRNY
Ostrów Wielkopolski, Gdańska
Numer oferty: D-1498
Cena: 2 600 000 zł
Cena za m2: 295 zł

Szczegóły
| Powierzchnia (m2) | 8800 | - |
Media
| Gaz | Nie | - |
Działka
| Typ działki | Budowlana wielorodzinna | Długość działki (m) | 225 | |
| Szerokość działki (m) | 39 | Droga dojazdowa | Nieutwardzona/Polna | |
| Woda | Miejska | Gaz | Możliwość podłączenia | |
| Prąd | Nie | Ogrodzenie | Brak |
Opis
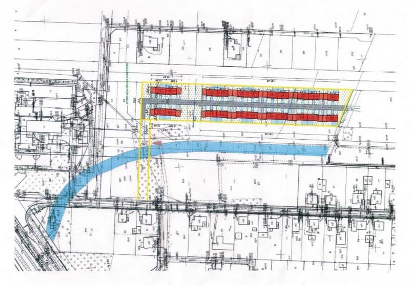
Oferujemy Państwu na sprzedaż teren inwestycyjny, który położony jest w północnej części Ostrowa Wielkopolskiego przy ulicy Gdańskiej. Jego powierzchnia to 8800 m2, działka ta posiada wydane warunki zabudowy i zagospodarowania terenu na budowę 22 budynków jednorodzinnych w zabudowie bliźniaczej. Znajdowały się one będą przy nowej drodze dojazdowej wraz z ciągiem pieszo rowerowym - jest to inwestycja miejska zaplanowana na 2022 rok.
Przedstawiona oferta cenowa ma charakter informacyjny, nie stanowi oferty handlowej w rozumieniu Art.66 par.1 Kodeksu Cywilnego.



